Local Service Overview

Get Red Ant Extermination in Kingwood, TX

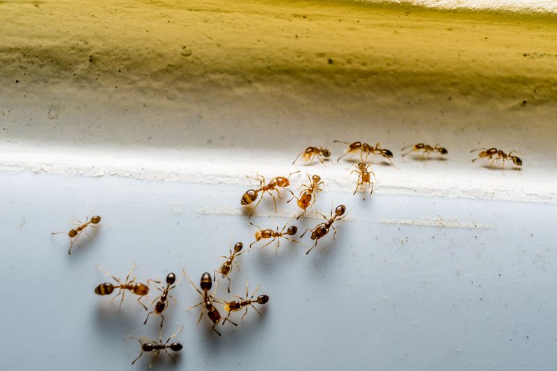
Red Ant Extermination services for property owners in Kingwood, TX, and nearby areas cover pest control, termite treatment, rodent removal, and ant extermination projects.

Kingwood, TX

Red ant extermination services are essential for property owners in Kingwood, TX seeking to protect their homes and outdoor spaces from persistent pests. Effective removal helps maintain a comfortable living environment by preventing infestations that can cause discomfort and potential damage. Additionally, professional extermination can enhance safety by reducing the risk of ant-related issues, such as bites or the spread of bacteria, ensuring the property remains a secure place for residents and visitors alike.

Choosing expert ant extermination also offers benefits related to the durability and functionality of outdoor areas. Proper pest control can minimize the likelihood of structural damage caused by ant colonies, reducing future maintenance needs. Furthermore, a pest-free landscape contributes to improved curb appeal, making the property more attractive and inviting. Contacting local service providers can help property owners achieve a pest-free environment while preserving the integrity and appearance of their homes.

Get Red Ant Extermination Quotes

  • Red Ant Extermination services are needed when red ants invade residential or commercial properties in Kingwood, TX and surrounding areas.
  • Red Ant Extermination is essential for pest control in outdoor spaces such as gardens, lawns, and patios where ants establish colonies.
  • Red Ant Extermination is often required in kitchens, basements, or other indoor areas experiencing persistent ant activity.
  • Red Ant Extermination services are sought after when ant nests are located near foundations, driveways, or other structural parts of a property.
  • Red Ant Extermination is recommended for properties experiencing recurring ant problems despite previous treatments.

Get Red Ant Extermination Quotes

Red Ant Extermination
Red Ant Extermination
Red Ant Extermination

Red ant extermination services focus on identifying and eliminating red ant colonies from residential and commercial properties. These services typically involve thorough inspections to locate active nests and assess the extent of the infestation. Treatment methods may include targeted application of residual insecticides, baiting systems, or other pest control solutions designed to eradicate red ants at their source. The goal is to reduce or eliminate ant populations, preventing further invasion and damage to the property.

Red ant problems can cause significant nuisances, especially when colonies expand and become difficult to control through DIY methods. Infestations may lead to increased activity around homes, gardens, or outdoor spaces, creating unsightly conditions and potential health concerns. In some cases, red ants can damage plants or structures, and their presence may attract other pests or pose a threat to pets and children. Professional extermination services help address these issues efficiently and reduce the risk of recurring problems.

Properties that commonly utilize red ant extermination services include single-family homes, apartment complexes, commercial buildings, and outdoor recreational areas. Residential properties often seek assistance to protect gardens, lawns, and outdoor living spaces from ant invasions. Commercial properties, such as restaurants, warehouses, or retail stores, may require pest control to maintain hygiene standards and prevent disruptions. Additionally, outdoor facilities like parks or sports fields may need regular pest management to keep areas safe and comfortable for visitors.

Engaging with local pest control providers for red ant extermination offers tailored solutions suited to specific property needs. These professionals bring experience in handling various levels of infestations, ensuring that treatments are effective and appropriate for the particular environment. Property owners and managers can benefit from expert advice on prevention strategies and ongoing maintenance to keep red ants from returning, maintaining a pest-free space for residents, employees, or visitors.

The overview below groups typical Red Ant Extermination projects into broad ranges so you can see how smaller, mid-sized, and larger jobs often compare in Kingwood, TX.

In many markets, a large share of routine jobs stays in the lower and middle ranges, while only a smaller percentage of projects moves into the highest bands when the work is more complex or site conditions are harder than average.

Initial Inspection - The cost for a basic pest inspection typically ranges from $100 to $300, depending on the size of the property and extent of the infestation. For example, a standard single-family home in Kingwood might fall within this range.

Pest Treatment - Treatment services generally cost between $150 and $500 per session, with larger or more severe infestations tending toward the higher end. Local pros may recommend multiple treatments for comprehensive control.

Follow-up Visits - Follow-up inspections and treatments can add $75 to $200 per visit, depending on the complexity of the problem and the property size. These visits ensure that pests are fully eradicated and prevent recurrence.

Wasp and Hornet Removal - Removal services for wasp or hornet nests typically cost between $100 and $250, influenced by nest location and size. Service providers may charge more for nests in hard-to-reach areas or high elevations.

Actual totals will depend on details like access to the work area, the scope of the project, and the materials selected, so use these as general starting points rather than exact figures.

Get a Red Ant Extermination Quote

Ant Extermination - Local pest control providers offer targeted treatments to eliminate red ants from residential and commercial properties in Kingwood, TX and surrounding areas.

Carpenter Ant Removal - Service professionals specialize in identifying and removing carpenter ants that can cause structural damage to buildings and homes.

Fire Ant Control - Local exterminators provide solutions for controlling fire ant colonies, reducing the risk of painful stings and infestations.

Odorous House Ants Treatment - Experts use effective methods to eradicate odorous house ants that often invade kitchens and pantries.

Wood Ant Management - Service providers assist with managing wood ants that may nest in wooden structures, preventing damage and infestation.

Outdoor Ant Prevention - Local pros offer strategies to prevent ant invasions in yards and outdoor living spaces, maintaining pest-free environments.

Red Ant Extermination

When selecting a Red Ant Extermination service provider, it is important to evaluate their experience in handling pest issues similar to those faced by homeowners in Kingwood, TX. Pros with a proven track record often demonstrate familiarity with local pest behaviors and effective treatment methods. Reviewing written expectations can help clarify the scope of work, including the methods used and what homeowners can anticipate from the service. Reputable references or customer testimonials can further assist in assessing the reliability and quality of the provider’s work, offering insights into past client experiences.

Clear communication is a key factor when working with local pest control professionals. Homeowners should seek providers who are transparent about their processes and willing to address questions or concerns throughout the extermination process. Establishing open lines of communication can help ensure that expectations are aligned and that any issues are promptly addressed. This level of interaction can contribute to a smoother service experience and greater confidence in the provider’s professionalism.

It is also beneficial to consider the reputation of local pros in the community. Reputable references or reviews from previous clients can provide valuable insights into the provider’s reliability, professionalism, and effectiveness. While the site introduces various local options for Red Ant Extermination services, it is important to remember that it functions solely as a connection point; the actual work is performed by independent service providers. Homeowners are encouraged to contact multiple pros to compare their experience, communication style, and references before making a decision.

Get a Red Ant Extermination Quote

Property owners in Kingwood, TX use Red Ant Extermination services for practical projects around their homes and businesses. The sections below highlight everyday jobs and straightforward project options.

Red Ant Extermination
Red Ant Extermination

Red ant extermination services are commonly sought after by property owners in Kingwood, TX, who are dealing with persistent ant infestations. These pests can invade homes and outdoor spaces, especially during warmer months, creating nuisances and potential structural concerns. Local service providers offer targeted solutions to eliminate red ants and prevent future activity, helping residents maintain a comfortable and pest-free environment.

Property owners may also look for red ant extermination when noticing increased ant activity around their yards, gardens, or foundations. Red ants can pose challenges for outdoor enjoyment and can sometimes cause minor damage to plants or structures. Engaging experienced local professionals ensures that ant problems are addressed effectively, reducing the likelihood of recurring issues and supporting overall property maintenance.

Get a Red Ant Extermination Quote

What causes red ants to infest a property? Red ants are attracted to food sources, moisture, and shelter, often invading homes and yards in search of these essentials.

How do extermination services typically eliminate red ants? Local pest control providers usually use targeted treatments such as baits, sprays, or dust to effectively remove red ant colonies.

Are red ant infestations dangerous? Red ants can deliver painful stings and may cause allergic reactions in some individuals, making infestation management important.

How can I prevent red ants from returning after treatment? Removing food debris, sealing entry points, and maintaining dry, clean areas can help reduce the likelihood of future infestations.

When should I consider professional red ant extermination services? If red ants are invading indoor spaces or if DIY methods are unsuccessful, contacting local pest control experts is recommended.

Red Ant Extermination Services - Local pest control providers offer targeted treatments to eliminate red ants and prevent future infestations.

Inspection and Identification - Professionals can assess your property to identify ant activity and determine the best removal approach.

Natural and Chemical Removal Options - Service providers utilize effective methods tailored to your preferences and specific ant issues.

Ongoing Prevention Strategies - Experts can advise on measures to reduce attractants and keep red ants from returning.

Red Ant Extermination

Considering Red Ant Extermination for a property in Kingwood, TX? The sections above highlight common project types, practical options, and details that often shape the scope of work.

When you are ready, use the quote form to share a few details about your project. Local pros can review the basics and respond with options that match what you have in mind.

Get a Red Ant Extermination Quote

Red Ant Extermination Quotes

Our Trusted Partners
Cantu Pest Control
Orkin
Hawx Pest Control