Local Service Overview

Get Black Ant Extermination in Katy, TX

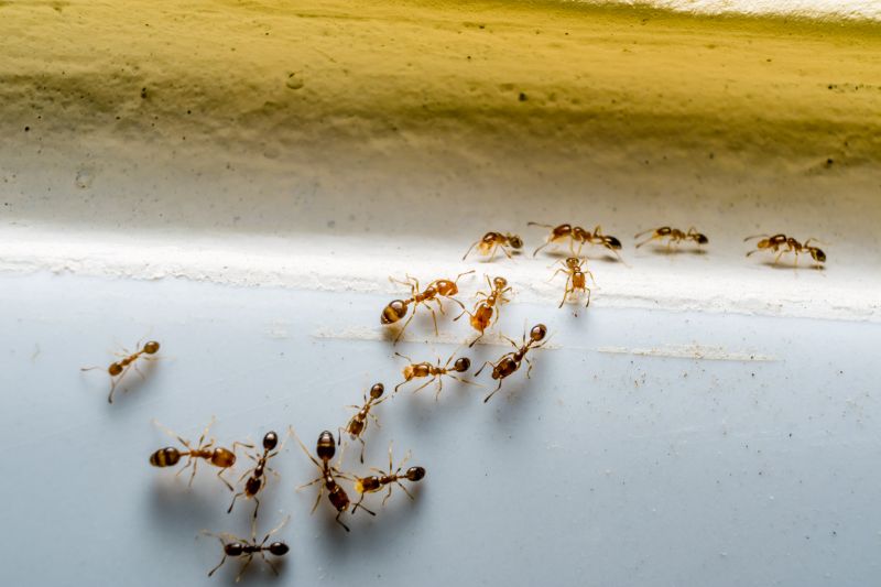
Black Ant Extermination services for property owners in Katy, TX, and nearby areas address ant infestations, prevent future invasions, and handle ongoing pest control projects.

Katy, TX

Black ant extermination services provide property owners in Katy, TX with an effective solution to manage and eliminate ant infestations. Addressing these pests helps maintain a clean and comfortable living or working environment by preventing the nuisance and potential damage caused by ant colonies. Professional extermination ensures the work is thorough and targeted, reducing the likelihood of recurring issues and providing peace of mind for residents and business owners alike.

Choosing expert ant control services can also enhance the overall curb appeal and functionality of a property. A pest-free exterior not only improves visual appeal but also supports the durability of structures by preventing damage from ant activity. Additionally, reducing ant populations can lower maintenance needs over time, creating a safer and more inviting space for families, employees, and visitors.

Get Black Ant Extermination Quotes

  • Ant Extermination - needed when black ants invade kitchens, pantries, or outdoor spaces around Katy, TX.
  • Indoor Black Ant Control - required if black ants are found crawling inside homes or commercial properties in nearby areas.
  • Outdoor Black Ant Treatment - appropriate when colonies are established around the yard or landscape of a residence or business.
  • Preventive Black Ant Services - useful for ongoing protection against black ant infestations in residential neighborhoods near Houston, TX.
  • Emergency Ant Extermination - necessary when black ant swarms suddenly appear in high-traffic or sensitive areas requiring quick response.

Get Black Ant Extermination Quotes

Black Ant Extermination
Black Ant Extermination
Black Ant Extermination

Black ant extermination services focus on identifying and eliminating ant infestations within residential and commercial properties. These services typically involve thorough inspections to locate ant colonies and entry points, followed by targeted treatments to eradicate the pests. Professionals may use a combination of baits, sprays, and dust formulations designed to eliminate existing ants and prevent future invasions. The goal is to reduce ant populations effectively while minimizing disruption to the property and its occupants.

Ant infestations can cause various problems for property owners. Beyond the nuisance of constant ant activity, some species can contaminate food supplies and damage structures or electrical wiring. In certain cases, ant colonies may be difficult to locate and treat without professional expertise, leading to ongoing issues if not addressed properly. Effective extermination services help mitigate these problems by removing the pests and implementing measures to prevent recurrence, providing peace of mind for residents and business owners alike.

Various types of properties utilize black ant extermination services, including single-family homes, apartment complexes, restaurants, and retail stores. Residential properties often seek treatment to protect food supplies and maintain hygiene standards, especially in kitchens and pantries. Commercial establishments, particularly those involved in food service or retail, require regular pest control to meet health regulations and ensure a pest-free environment for customers and staff. Additionally, property managers and landlords frequently engage pest control providers to manage ant issues across multiple units or commercial spaces.

Local pest control professionals offer tailored solutions for black ant extermination based on the specific needs of each property. They assess the extent of the infestation, identify potential entry points, and apply appropriate treatment methods to ensure effective control. Property owners seeking assistance can contact experienced service providers to discuss options and develop a plan that addresses their particular situation. Proper treatment and ongoing prevention strategies are essential for maintaining a pest-free environment in both residential and commercial settings.

The overview below groups typical Black Ant Extermination projects into broad ranges so you can see how smaller, mid-sized, and larger jobs often compare in Katy, TX.

In many markets, a large share of routine jobs stays in the lower and middle ranges, while only a smaller percentage of projects moves into the highest bands when the work is more complex or site conditions are harder than average.

Initial Black Ant Extermination - The cost for a one-time treatment typically ranges from $150 to $300, depending on the size of the affected area. Larger infestations or properties may incur higher fees, sometimes exceeding $400. Prices vary based on the extent of the problem and local service providers.

Ongoing Pest Control Plans - Monthly or quarterly service plans generally cost between $40 and $70 per visit. These plans often include regular inspections and treatments to prevent black ant re-infestations. Costs can fluctuate based on the frequency of visits and property size.

Inspection and Consultation Fees - Some providers charge a fee for inspection services, typically ranging from $50 to $150. This fee may be credited toward treatment costs if services are scheduled afterward. The price varies depending on the property's complexity and location.

Specialized Treatment Options - Advanced or targeted treatments, such as baiting systems or barrier applications, usually cost between $200 and $500. These options are recommended for severe infestations or difficult-to-reach areas, with prices depending on the treatment method and property specifics.

Actual totals will depend on details like access to the work area, the scope of the project, and the materials selected, so use these as general starting points rather than exact figures.

Get a Black Ant Extermination Quote

Black Ant Extermination services are essential for homeowners dealing with persistent ant infestations in residential or commercial properties. Local pros can assess the extent of the problem and implement targeted removal strategies.

Black Ant Extermination specialists provide effective treatment options to eliminate colonies and prevent future invasions, ensuring a clean and pest-free environment. They often use proven methods tailored to specific property needs.

Black Ant Extermination services may include inspection, baiting, and barrier treatments to control black ant populations around buildings and landscape areas. Professionals focus on safe and thorough removal techniques.

Black Ant Extermination providers can identify entry points and recommend preventive measures to reduce the likelihood of re-infestation. Their expertise helps maintain long-term pest control solutions.

Black Ant Extermination services are suitable for both residential and commercial properties experiencing black ant issues, offering customized approaches for different environments. Local contractors are equipped to handle various infestation levels.

Black Ant Extermination specialists stay current with the latest pest control methods to ensure effective eradication. Contacting local pros can help address black ant problems promptly and efficiently.

Black Ant Extermination

When evaluating local professionals for black ant extermination services, it’s important to consider their experience in handling ant infestations similar to those in your area. Homeowners should inquire about the duration of their service history, the types of ant problems they have addressed, and their familiarity with local conditions that may influence treatment strategies. A reputable provider will be transparent about their background and able to demonstrate a track record of successfully managing ant issues in the community.

Clear communication of written expectations is essential when selecting a pest control provider. Homeowners are encouraged to seek detailed explanations of the treatment methods, the scope of work, and any necessary preparations or follow-up procedures. Reliable local pros typically provide comprehensive service plans in writing, ensuring that homeowners understand what to expect and can make informed decisions about their pest management approach.

References from previous clients and reputable sources can help gauge the dependability of local ant extermination specialists. Homeowners should ask for referrals or reviews from past customers to verify the quality of service. Additionally, a professional’s reputation can often be corroborated through online reviews or local references. Effective communication and responsiveness are also key indicators of a trustworthy provider, as they demonstrate a commitment to addressing homeowner concerns and maintaining transparency throughout the process.

Get a Black Ant Extermination Quote

Property owners in Katy, TX use Black Ant Extermination services for practical projects around their homes and businesses. The sections below highlight everyday jobs and straightforward project options.

Black Ant Extermination
Black Ant Extermination

Black ant extermination services are commonly sought after by property owners in Katy, TX who notice persistent ant activity around their homes or businesses. Ant invasions can occur unexpectedly, especially during warmer months, and may lead to concerns about damage to structures or contamination of food supplies. Local service providers offer solutions to eliminate ant colonies and prevent future infestations, helping property owners maintain a clean and pest-free environment.

Many property owners in Katy turn to local extermination professionals when dealing with recurring ant problems that do not respond to basic DIY methods. Whether ants are found inside kitchens, along foundations, or in outdoor landscaping, experienced service providers can assess the extent of the infestation and recommend appropriate treatments. Seeking professional assistance can help ensure effective removal and reduce the likelihood of ants returning, supporting the upkeep of a comfortable living or working space.

Get a Black Ant Extermination Quote

Why are black ants attracted to my home? Black ants are often drawn to food sources, water, and shelter inside or around homes, especially if crumbs, spills, or moisture are present.

How do exterminators typically eliminate black ant infestations? Professionals usually use targeted treatments such as baiting, residual sprays, or dusts to eliminate black ant colonies effectively.

Are black ants dangerous or harmful? Black ants are generally not harmful to humans, but their presence can indicate underlying moisture or food issues that need addressing.

How can I prevent black ants from returning after treatment? Keeping your property clean, sealing entry points, and removing attractants can help reduce the likelihood of black ant re-infestation.

When should I consider professional black ant extermination services? If black ants are establishing large colonies or persist despite basic cleaning, contacting local pest control providers is recommended.

Black Ant Extermination Solutions - Local pest control providers offer specialized treatments to eliminate black ants effectively from residential and commercial properties.

Inspection and Identification - Pros can assess the extent of ant infestations and identify entry points to develop targeted extermination plans.

Preventive Measures - Service providers can recommend and implement strategies to reduce the likelihood of future ant invasions.

Ongoing Monitoring and Maintenance - Professionals offer follow-up services to ensure long-term control and prevent re-infestation of black ants.

Black Ant Extermination

Considering Black Ant Extermination for a property in Katy, TX? The sections above highlight common project types, practical options, and details that often shape the scope of work.

When you are ready, use the quote form to share a few details about your project. Local pros can review the basics and respond with options that match what you have in mind.

Get a Black Ant Extermination Quote

Black Ant Extermination Quotes

Our Trusted Partners
Cantu Pest Control
Orkin
Hawx Pest Control