Local Service Overview

Get Ants Extermination Service in Katy, TX

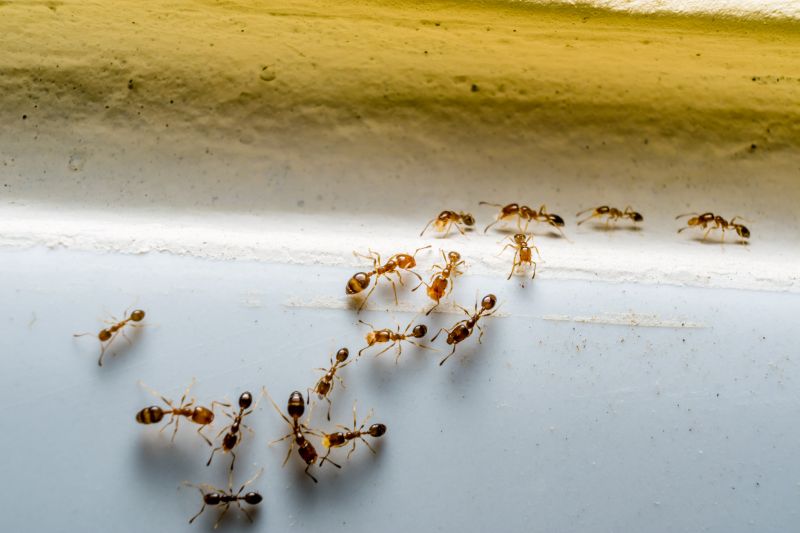
Ants extermination services for property owners in Katy, TX, and nearby areas address ant infestations, including removal, prevention, and ongoing pest control projects.

Katy, TX

Ants extermination services in Katy, TX offer property owners a practical solution to manage and prevent ant infestations that can disrupt daily life. Effective removal helps maintain a clean and comfortable environment, reducing the risk of ants invading kitchens, pantries, and other common areas. By addressing ant problems promptly, property owners can enjoy a sense of safety and peace of mind, knowing their homes and businesses are protected from potential damage and discomfort caused by these pests.

Choosing professional ants extermination services also enhances the overall functionality and curb appeal of a property. A pest-free exterior and interior can lead to reduced maintenance needs, as ants and other pests are less likely to cause structural or cosmetic issues over time. Additionally, a tidy, well-maintained appearance can boost the property's attractiveness, making it more inviting for residents, visitors, or potential buyers.

Get Ants Extermination Service Quotes

  • Ants Extermination - Needed when ants invade kitchens or living areas in homes across Katy, TX and surrounding communities.
  • Ants Extermination - Required to eliminate persistent ant colonies in commercial properties or outdoor spaces.
  • Ants Extermination - Sought after when new ant activity appears following seasonal changes or weather shifts.
  • Ants Extermination - Necessary to address ant infestations that threaten food storage or cause nuisance in residential yards.
  • Ants Extermination - Utilized when ant problems persist despite DIY efforts, prompting professional intervention in nearby neighborhoods.

Get Ants Extermination Service Quotes

Ants Extermination Service
Ants Extermination Service
Ants Extermination Service

Ants extermination services involve professional techniques to eliminate ant colonies and prevent future invasions. Service providers typically perform thorough inspections to identify ant entry points, nesting sites, and the extent of the infestation. Treatment methods may include the application of targeted baits, insecticidal dusts, or sprays designed to eradicate ants at different stages of their life cycle. These services aim to reduce ant populations effectively and create a barrier to keep them from returning to residential or commercial properties.

Ant problems can cause significant nuisance and potential damage to property. Certain ant species, such as carpenter ants, are known for damaging wood structures, which can compromise the integrity of buildings over time. Other types, like fire ants, pose stinging risks to inhabitants and pets. Extermination services help address these issues by removing colonies and implementing preventative measures to minimize the risk of recurring infestations, ensuring a safer and more comfortable environment.

Properties that commonly utilize ant extermination services include single-family homes, apartment complexes, restaurants, and retail stores. Residential properties often seek assistance when ants invade kitchens, bathrooms, or living areas, disrupting daily routines. Commercial establishments, especially those involved in food preparation or storage, require regular pest control to maintain hygiene standards and comply with health regulations. In commercial settings, ongoing maintenance programs may be recommended to prevent persistent or seasonal ant issues.

Professional ant extermination services are tailored to the specific needs of each property type and infestation severity. Service providers may offer one-time treatments for isolated infestations or ongoing pest management plans for properties experiencing recurring problems. By addressing the root causes of ant invasions and applying targeted solutions, these services help property owners maintain pest-free environments and reduce the likelihood of future invasions.

The overview below groups typical Ants Extermination Service projects into broad ranges so you can see how smaller, mid-sized, and larger jobs often compare in Katy, TX.

In many markets, a large share of routine jobs stays in the lower and middle ranges, while only a smaller percentage of projects moves into the highest bands when the work is more complex or site conditions are harder than average.

Initial Inspection - The cost for an ant inspection typically ranges from $50 to $150, depending on the size of the property and complexity. This fee covers identifying ant species and infestation severity. Some providers include the inspection in treatment costs, while others charge separately.

Basic Treatment - Standard ant extermination services usually cost between $100 and $300 for a single treatment. Larger properties or severe infestations may increase the price to around $400. Treatment costs often depend on the extent of the ant problem and the treatment method used.

Perimeter Barrier Application - Applying perimeter barriers or bait stations generally costs from $150 to $350. This service involves creating a chemical barrier around the property to prevent ant entry. Additional visits or ongoing treatments can raise the overall expense.

Follow-Up Services - Follow-up visits to ensure ant elimination typically range from $75 to $200 per session. The number of visits needed varies based on infestation severity and treatment effectiveness. Some providers include follow-up in initial treatment packages, while others charge separately.

Actual totals will depend on details like access to the work area, the scope of the project, and the materials selected, so use these as general starting points rather than exact figures.

Get an Ants Extermination Service Quote

Ants Extermination - Local pest control providers offer targeted ant removal services to eliminate colonies and prevent future infestations. They utilize proven methods to address ant problems in residential and commercial properties.

Ants Prevention - Service providers can implement preventative measures to reduce the likelihood of ant invasions, including barrier treatments and property inspections. These strategies help maintain a pest-free environment over time.

Ants Inspection Services - Professionals conduct thorough inspections to identify ant activity, nesting sites, and entry points, providing a clear understanding of the extent of the infestation.

Ants Treatment Plans - Local specialists develop customized treatment plans tailored to the specific type of ant and severity of the infestation, ensuring effective eradication efforts.

Ants Barrier Treatments - Service providers apply barrier treatments around structures to create a pest-resistant perimeter, helping to keep ants from entering indoor spaces.

Ants Baiting Services - Experts set up bait stations to attract and eliminate ant colonies, reducing the population gradually and safely around residential and commercial areas.

Ants Extermination Service

When comparing ant extermination services, experience is a key factor to consider. Local providers often have extensive knowledge of the specific types of ants common in Katy, TX, and surrounding areas. They typically have years of hands-on experience dealing with infestations similar to those encountered by homeowners in the region. This familiarity can contribute to more effective treatment strategies and a better understanding of the most appropriate methods for your particular situation.

Clear communication and well-defined expectations are essential when working with ant extermination professionals. Reputable local service providers usually outline the scope of work, treatment procedures, and any necessary follow-up steps upfront. This transparency helps homeowners understand what to expect and ensures that both parties are aligned on the process. Reliable providers also tend to be responsive to questions or concerns, fostering a smoother service experience.

References and reputation are valuable indicators of a local pros’ reliability and quality of work. Homeowners are encouraged to seek out reputable references or reviews from previous clients in the Katy area. Established providers often have a track record of successful treatments and satisfied customers, which can be verified through local reviews or word-of-mouth recommendations. Effective communication and a solid reputation contribute to a more confident decision when selecting a pest control professional for ant extermination services.

Get an Ants Extermination Service Quote

Property owners in Katy, TX use Ants Extermination Service services for practical projects around their homes and businesses. The sections below highlight everyday jobs and straightforward project options.

Ants Extermination Service
Ants Extermination Service

Ants Extermination Service providers assist property owners in Katy, TX, with common pest issues that can arise in everyday settings. When ants invade kitchens, bathrooms, or outdoor spaces, local professionals are available to identify the source of the infestation and implement effective removal methods. Property owners often seek these services to prevent ants from damaging property structures or contaminating food supplies, ensuring a clean and pest-free environment.

In addition to addressing active infestations, property owners may look for ant extermination services to establish long-term prevention strategies. This can include inspecting entry points around the property, applying barrier treatments, or advising on maintenance practices to reduce attractants. Such proactive measures help maintain a comfortable living or working space, especially during seasons when ant activity tends to increase in the Katy area.

Get an Ants Extermination Service Quote

How do ant extermination services work? Ant extermination services typically involve inspecting the property to identify ant activity and nests, followed by applying targeted treatments to eliminate colonies and prevent future infestations.

Are ant extermination treatments safe for pets and children? Many local pros use treatments that are safe when applied according to instructions; it’s recommended to discuss safety concerns with the service provider during contact.

How long does an ant extermination treatment last? The duration of effectiveness varies depending on the treatment method and environment, but most services aim to provide long-lasting results with follow-up options available.

Can ant extermination services prevent future infestations? Yes, professional treatments often include recommendations and barriers to help reduce the likelihood of future ant problems.

How can I prepare for an ant extermination service? Homeowners are usually advised to clear the area around ant nests and food sources, and to follow any specific instructions provided by the service provider during contact.

Ants Extermination Techniques - Local service providers utilize various methods such as baiting, trapping, and targeted treatments to manage ant infestations effectively.

DIY vs. Professional Ant Control - Professionals can assess the severity of ant problems and recommend appropriate solutions, whether do-it-yourself or advanced treatments.

Signs of Ant Infestation - Identifying ant trails, nests, and unusual ant activity can help determine the need for professional extermination services.

Preventive Ant Control Tips - Local experts offer advice on sealing entry points and maintaining cleanliness to reduce the likelihood of future ant problems.

Ants Extermination Service

Considering Ants Extermination Service for a property in Katy, TX? The sections above highlight common project types, practical options, and details that often shape the scope of work.

When you are ready, use the quote form to share a few details about your project. Local pros can review the basics and respond with options that match what you have in mind.

Get an Ants Extermination Service Quote

Ants Extermination Quotes

Our Trusted Partners
Cantu Pest Control
Orkin
Hawx Pest Control