Local Service Overview

Get Ants Extermination Service in Tomball, TX

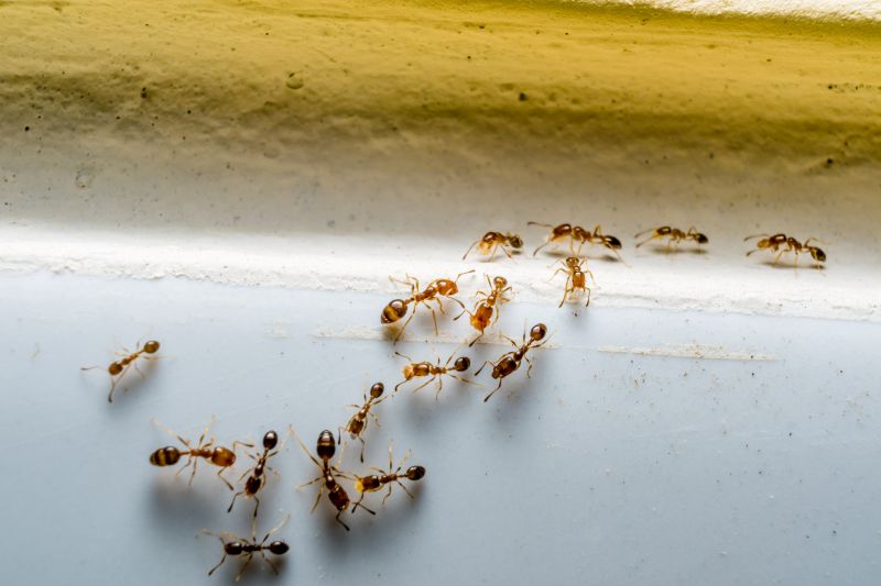
Ants extermination services for property owners in Tomball, TX, and nearby areas address ant infestations, prevent future invasions, and handle residential and commercial pest control projects.

Tomball, TX

Ants extermination services are an essential solution for property owners in Tomball, TX seeking to maintain a comfortable and safe living environment. Effective pest control helps prevent ant infestations that can compromise the functionality of a property, especially in areas prone to warm, humid conditions. By addressing ant issues promptly, property owners can enjoy reduced maintenance needs and protect their investment from potential structural damage or unsanitary conditions caused by large colonies.

Choosing professional ant extermination services offers benefits such as enhancing curb appeal and ensuring long-lasting results. Proper treatment not only eliminates current ant problems but also creates a barrier that discourages future invasions, contributing to the property's durability. This proactive approach helps maintain the property's overall appearance and functionality, providing peace of mind for residents and safeguarding the value of the property over time.

Get Ants Extermination Service Quotes

  • Ants Extermination Services are essential when homeowners notice ant trails or nests around their property in Tomball, TX and nearby areas.
  • These services are needed if ants invade kitchens, pantries, or other indoor spaces, disrupting daily activities.
  • Professional exterminators can help eliminate ant infestations that threaten the comfort and hygiene of residential and commercial spaces.
  • Ant control services are often sought when outdoor ant colonies threaten to spread into homes or gardens in the Houston metropolitan region.
  • Contacting local pest control providers is recommended when ant populations become persistent or difficult to manage independently.

Get Ants Extermination Service Quotes

Ants Extermination Service
Ants Extermination Service
Ants Extermination Service

Ants extermination services involve identifying and eliminating ant infestations within residential, commercial, or industrial properties. Professionals typically conduct a thorough inspection to locate active ant colonies and determine the species involved. Treatment methods may include the application of targeted insecticides, baiting systems, and barrier treatments designed to eradicate ants at their source and prevent future invasions. The goal is to reduce ant populations effectively while minimizing disruption to the property’s occupants.

These services address common problems associated with ant infestations, such as property damage, contamination of food supplies, and general nuisance. Certain ant species, like fire ants or carpenter ants, can pose specific risks-fire ants may sting and cause allergic reactions, while carpenter ants can damage wood structures. Exterminators work to eliminate these threats, providing relief from ongoing issues and helping to maintain a safe, clean environment for residents and businesses alike.

Properties that typically utilize ant extermination services include single-family homes, apartment complexes, restaurants, and retail stores. Homes often seek treatment to protect food storage areas and prevent structural damage caused by carpenter ants. Commercial properties, especially those that handle food products or have high foot traffic, prioritize pest control to ensure hygiene standards are met and to avoid disruptions. In all cases, local pest control providers tailor their approaches to the specific needs of each property type and infestation severity.

Professional ant extermination services often involve ongoing monitoring and maintenance to ensure the problem remains controlled over time. Service providers may recommend periodic inspections and treatments, especially in areas prone to ant activity. By working with experienced local pros, property owners can effectively manage ant issues, reduce the risk of recurring infestations, and maintain a pest-free environment.

The overview below groups typical Ants Extermination Service projects into broad ranges so you can see how smaller, mid-sized, and larger jobs often compare in Tomball, TX.

In many markets, a large share of routine jobs stays in the lower and middle ranges, while only a smaller percentage of projects moves into the highest bands when the work is more complex or site conditions are harder than average.

Initial Inspection - The cost for an ant inspection typically ranges from $50 to $150, depending on the size of the property and complexity. This fee covers a thorough assessment to identify ant activity and entry points.

Basic Treatment - A standard ant extermination treatment usually costs between $100 and $300. Prices vary based on the extent of infestation and the treatment methods used.

Heavy Infestation Service - For severe ant problems, service costs can range from $200 to $500 or more. Larger properties or multiple colonies may require additional treatments, increasing the overall cost.

Follow-Up Visits - Follow-up treatments or inspections generally cost between $50 and $200 each. These visits ensure that ant activity has been effectively eliminated and prevent future issues.

Actual totals will depend on details like access to the work area, the scope of the project, and the materials selected, so use these as general starting points rather than exact figures.

Get an Ants Extermination Service Quote

Ants Extermination services connect homeowners with local pest control providers specializing in ant removal and prevention strategies tailored to residential properties.

Local pros offering ant extermination services assist with identifying ant species and implementing targeted treatment plans to eliminate infestations effectively.

Ants Extermination services include inspection, baiting, and barrier treatments designed to protect homes from future ant invasions.

Service providers in this category often work with both indoor and outdoor ant control solutions to address the specific needs of each property.

Professionals offering ant extermination can help manage common household pests such as pavement ants, carpenter ants, and odorous house ants.

Contacting local ant extermination specialists ensures tailored pest management plans to address specific infestation concerns in Tomball, TX, and nearby areas.

Ants Extermination Service

When comparing ant extermination services in Tomball, TX, experience is a key factor to consider. Local professionals often have extensive knowledge of ant species common to the area and understand effective treatment methods tailored to local conditions. Evaluating the length of time a service provider has been operating can provide insight into their familiarity with various ant infestations and their ability to handle different scenarios efficiently. Potential clients are encouraged to review the background and history of local pros to ensure they have a solid track record in pest management.

Clear communication and well-defined expectations are important when selecting an ant extermination service. Reputable providers typically offer detailed information about their treatment approaches, what residents can expect during and after the service, and any necessary precautions. Establishing open lines of communication helps ensure that homeowners understand the scope of work and can address any questions or concerns throughout the process. This transparency contributes to a smoother experience and helps set realistic expectations for results.

Reputable references and reliable sources of information are valuable when choosing a local pest control provider. Homeowners may seek out reviews, testimonials, or recommendations from neighbors and community members to gauge the quality of service. Contacting previous clients or checking online review platforms can offer insights into the professionalism and effectiveness of local pros. Since the site connects users with local service providers, it is important to independently verify their reputation and communication practices to ensure a positive and trustworthy experience.

Get an Ants Extermination Service Quote

Property owners in Tomball, TX use Ants Extermination Service services for practical projects around their homes and businesses. The sections below highlight everyday jobs and straightforward project options.

Ants Extermination Service
Ants Extermination Service

Ants extermination services are often sought by property owners in Tomball, TX dealing with persistent ant infestations in residential or commercial spaces. Common situations include discovering large ant colonies in kitchens, pantries, or near entry points, which can pose nuisance and hygiene concerns. Local service providers can assist with identifying the source of the problem and implementing targeted treatments to eliminate the ants and prevent future invasions.

Property owners may also seek ant extermination when noticing ant trails or signs of nesting around the foundation, walls, or landscaping of their property. These ongoing issues can lead to increased frustration and potential damage, especially if ants are found near food storage or in areas accessible to children and pets. Local professionals offer solutions tailored to the specific needs of homes and businesses in the Tomball area, helping to restore comfort and safety.

Get an Ants Extermination Service Quote

How do ant extermination services work? Ant extermination services typically involve inspecting the property to identify ant entry points and nests, then applying targeted treatments to eliminate existing colonies and prevent future infestations.

Are ant extermination treatments safe for pets and children? Most professional ant treatments are designed to be safe when used as directed, but it is recommended to consult with local service providers about specific safety precautions for households with pets or children.

How long does an ant extermination treatment last? The duration of effectiveness varies depending on the treatment method and the severity of the infestation, but many services offer ongoing maintenance options to ensure long-term control.

Can ant extermination services prevent future infestations? Yes, professional treatments often include recommendations and barrier methods to help prevent future ant problems around the property.

How do I prepare my home for ant extermination? Preparing for treatment may involve clearing the area of clutter, sealing entry points, and following any specific instructions provided by the service provider to maximize effectiveness.

Ants Extermination Solutions - Local service providers can assess ant infestations and recommend effective removal methods tailored to specific environments.

Inspection and Identification - Pros can identify ant species and determine the extent of the infestation to develop targeted treatment plans.

Integrated Pest Management - Service providers often utilize a combination of baiting, trapping, and barrier treatments to control ant populations.

Ongoing Monitoring and Prevention - Local experts can offer advice on preventing future ant problems through habitat modification and exclusion techniques.

Ants Extermination Service

Considering Ants Extermination Service for a property in Tomball, TX? The sections above highlight common project types, practical options, and details that often shape the scope of work.

When you are ready, use the quote form to share a few details about your project. Local pros can review the basics and respond with options that match what you have in mind.

Get an Ants Extermination Service Quote

Ants Extermination Quotes

Our Trusted Partners
Cantu Pest Control
Orkin
Hawx Pest Control